| |
|
|
|
|
ACQUISITION |
Transferred from R.A.F. 01 September 1943
|
|
COMMISSIONED |
01 October 1943
|
|
PAID OFF |
30 November 1945
|
|
C.O. |
Captain A.F. Campbell, O.B.E., R.N. |
|
|
|
|
FUNCTION |
Accommodation
and training facilities for disembarked squadrons.
F.R.U. and communications squadron.
Fighter Direction
Training.
Outlying establishments included:- R.N.
Aircraft Repair Depot, Colombo Naval Aircraft
Embarkation Unit, Colombo R.N.A.
Motor Transport Depot, Nugegoda.
R.N.A. Ceylonese Training
Establishment Maharagama
R.N. School of Malarial Control and Tropical Hygiene. |
|
|
|
ADDRESS |
R.N. Air
Station
Colombo
Racecourse,
Ceylon
|
|
LOCALITY
|
The airfield lies in the SE. suburbs of Colombo, 2¼
miles SSE. of Colombo harbour, and ¾ miles inland from
the W. coast of Ceylon.
|
|
LANDMARKS |
The city of and harbour of Colombo.
"Slave Island", a promontory surrounded by a lake, lying one
mile NW. of the airfield.
|
|
ROAD AND RAIL ACCESS |
Good road communications with the harbour, which is served
by railway sidings. Bambalapityne railway station, on the
coastal line from the harbour to R.N.A.S. Katukurunda, lies
¾ miles (R) WSW., and Maradana railway station, Colombo,
lies 1½ miles (R) N. |
|
|
|
|
| |
|
|
|
|
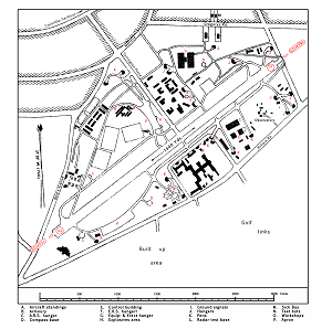
CONTROL |
Control Building immediately SE. of centre of runway.
|
|
ELEVATION |
25' above M.S.L.
|
|
LANDING AREA |
One, Tar Macadam covered with coconut fibres, with a
sub-base of 6-inch broken stone on a consolidated earth
foundation; all types, all weather.
06/24 QDM. 056°-236° .... 1600 x 50 yds.
|
|
TRACKS |
40' taxi tracks run along either side of the runway, and
connect to hangars, hard standings and workshops.
|
|
OBSTRUCTIONS |
Navigation |
None. |
|
Circuit |
W/T masts, 260', distant 1800 yds. NE. from the NE. end
of the runway. Towers and tall buildings of the town. |
|
Approach |
Town buildings, height not known, lie within 220-300
yds. from the ends of the runway, but do not interfere
with normal approach.
|
|
APPROACH |
Safe approach sector - mean QDM. 056° - 236°
|
|
WIND INDICATOR |
One windsock, opposite control building. |
|
|
|
|
 |
|
|
|
|
HOMING - VISUAL |
By day |
None. |
|
By night |
Landmark beacon on airfield flashing letters "CO" in
red.
|
|
HOMING--RADIO |
D/F |
H/F |
|
Beacons |
YG
|
|
APPROACH - VISUAL |
By day |
None. |
|
By night |
Portable lighting only. Illuminated "T" by signals area.
|
|
APPROACH - RADIO |
Mobile 2573.
|
|
COMMUNICATION EQUIPMENT |
M/F & H/F |
8 transmitters, 12 receivers. |
|
VH/F |
None.
|
|
GROUND RADAR |
Fighter Direction using G.C.I. and Interrogator, and
Fighter Direction using low and medium power Radar set
with Interrogator.
|
|
|
|
|
| |
|
|
|
|
ACCOMMODATION |
Living accommodation in buildings on W. side of the
airfield.
Capacity:
|
Officers: |
229 |
|
Chiefs, P.O.s and ratings: |
1528 |
|
W.R.N.S. Officers: |
44 |
|
W.R.N.S. Chiefs, P.O.s and ratings; |
125 |
|
|
ARMOURIES |
To accommodate 6 squadrons.
|
|
COMPASS BASE |
Two, diameters 90' and 100' respectively.
|
|
DISPERSAL |
9 aircraft standings.
3 aprons, dimensions approximately 200 s 35 yds., 160
x 50 yds., and 150 x 35 yds. |
|
HANGARS |
25 covered pens and small hangars (75' x 50') dispersed
around the airfield.
|
|
MEDICAL |
Sick bay on airfield, W. of Torrington Place. Sick
Quarters on N. Boundary of airfield, N. of Grogory's
road.
|
|
METEOROLOGICAL |
Office in Control Building Full service by Naval
personnel available.
|
|
FUEL AND OIL |
|
Aviation: |
Three installations with capacity
12.000
gallons (91 Octane)
22.000 gallons (100 Octane)
Further tanks being installed will bring capacity to
68.000 gallons. |
|
M/T: |
2.000 gallons |
|
Oil : |
No bulk storage. |
|
|
|
|
|
TEST BASE |
One aircraft radar base and one polar diagram base
available.
|
|
TEST BUTT |
Available, suitable for cannon.
|
|
WORKSHOPS |
One A.R.S. hangar (250' x 95'), one E.R.S. (55' x 90'),
two Equipping and Erecting hangars (250' x 95') and
workshops to 6 squadron scale. Replacement engines held.
Five cranes available, maximum lift 5 tons. Heavier
lifts, up to 16 tons, on application to N.A.E.U.
Colombo. |
|
|
|
VISITORS |
Visiting aircraft apron on N. side of runway opposite
control building.
|
|
BOMBING AND FIRING RANGES |
|
|
Air to ground |
Use of Puttalam range. |
|
Air to air |
Negombo (R.A.F.) and Kalutara. |
|
Dive bombing |
Conagala Rock and Puttalam. |
|
Low dive booming |
Conagala Rock and Puttalam. |
|
R.P. Range |
Puttalam. |
|
A/S Bombing |
Conagala Rock and Maggona (R.N.A.S. Katukurunda). |
|
|
|
|
|
|
|
Information taken from CB 4368 B. Admiralty Handbook
of Naval Air Stations Aug. 45 |
|
 |
|
List of first and second line squadrons, station
flight and other flying units based at this location |
|
|
|
|
742 |
|
|
755 |
|
|
756 |
|
|
797 |
|
|
800 |
|
|
803 |
|
|
804 |
|
|
807 |
|
|
808 |
|
|
814 |
|
|
832 |
|
|
845 |
|
|
848 |
|
|
851 |
|
|
888 |
|
|
889 |
|
|
898 |
|
|
1830 |
|
|
1834 |
|
|
1836 |
|
|
1837 |
|
|
1838 |
|
|
1839 |
|
|
1841 |
|
|
1842 |
|
|
1843 |
|
|
1844 |
|
 |
|
PAGE UNDER
CONSTRUCTION
Click here for a list of
Primary sources
Additional sources:
Confidential Admiralty Fleet Orders:
2314/43 Transfer from RAF and
commissioning
Admiralty Fleet Orders:
7231.45 Paying Off
Photographs from the collection of the late Leslie
Howlett, kindly supplied by his daughter Mrs. Kay Morgan.
|
|
|
| |
|
|
|
|
Comments (0)