Latitude 29° 49' 40"S Longitude 31° 02' 00"E

   

ACQUISITION

Lodger faculties for one disembarked R.N. Squadron at a South African Air Force Station from late 1940.

R.N. Air Section established April 1942.

 

COMMISSIONED

C. late 1940 on books of AFRIKANDER IV

31.03.1944 0n books of  KONGONI

 

CLOSED

 

 

PAID OFF

31.01.1946

 

 

 

O.I.C.

Sub-Lt. (A) (P) G. C. H. Morgan R.N.V.R. April 1942

Lieut. (A)  B. D. Buckley R.N.V.R.1 Nov 42

Lieut. (A)  J. A. Price R.N.V.R. April 1943

Lt. Cdr. (A) R. S. Lloyd M.B.E., R.N.V.R. Oct 1944

   

FUNCTION

Fleet Requirements Unit, facilities for 1 disembarked squadron, provision for reserve aircraft storage.

 

ADDRESS

R.N. Air Section Durban

S.A.A.F. Station, Stamford Hill,

Durban,

South Africa.

 

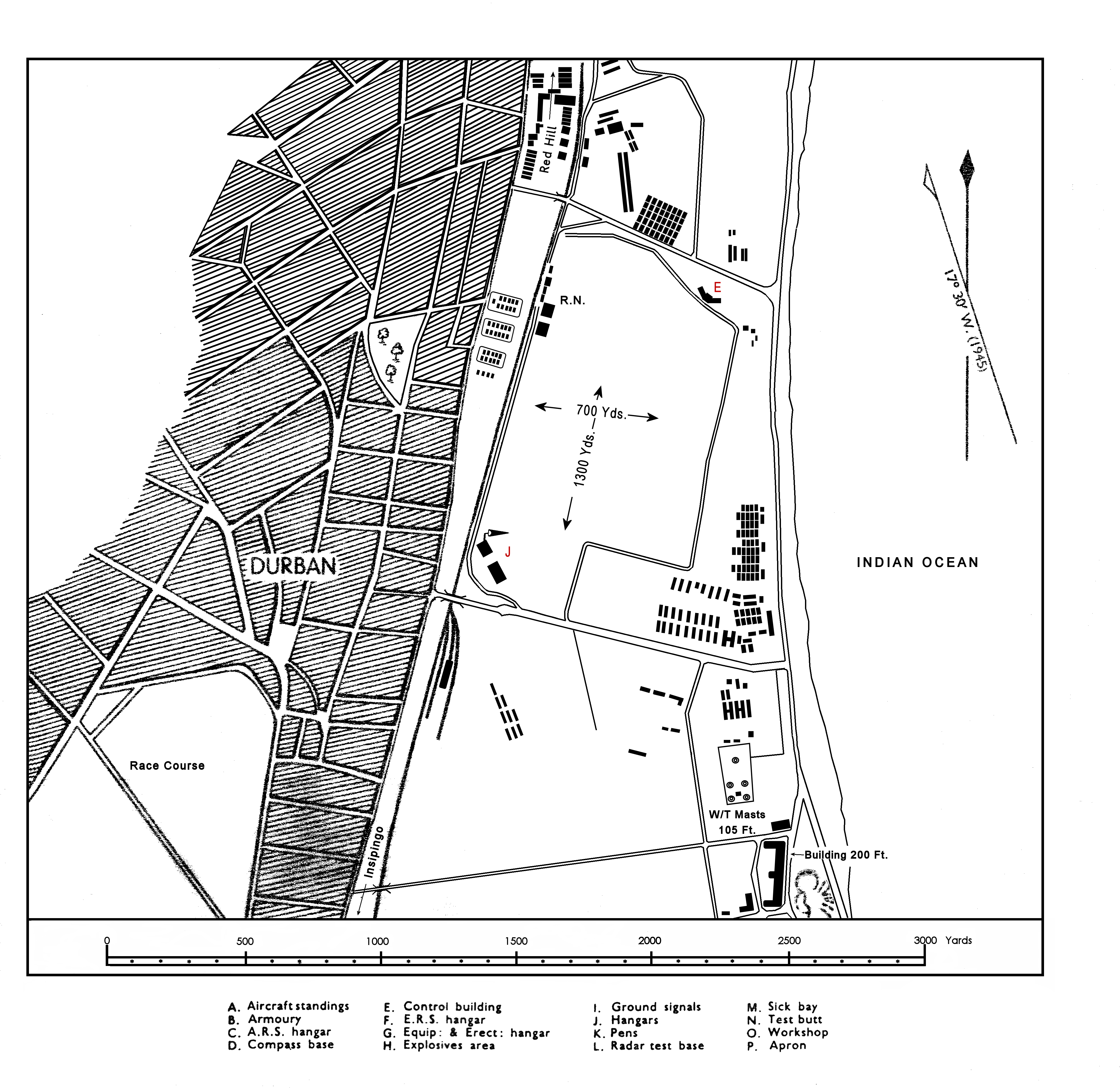
LOCALITY

The airfield lies on the coast in the NE. part of Durban, 2½ miles NW. of the entrance to Durban harbour and ½ mile S. of the Umgeni river.

 

LANDMARKS

The town of Durban built along the N. and W. shores of the enclosed harbour.

The Umgeni river entering the sea on the N. side of the town.

 

ROAD AND RAIL ACCESS

Main road and railway connections to major towns in the Union.

A single track siding runs along the W. side of t he airfield.

Good port facilities at Durban harbour with quays having depths of from 28' to 38½' alongside. Cranes of from 3 - 10 tons capacity, with one 80 ton crane and a 25 ton floating crane.

   
   

CONTROL

Control and Administrative Building in the NE. corner of the landing area.

Circuits are variable, but always to seaward.

The airfield id in use by civil airlines.

 

ELEVATION

 10' above M.S.L.

 

LANDING AREA

Grass surface. All weather but liable to be soft in places after  rain,  slightly bumpy.


NNE/SSW  .... 1300  yds.

ESE/WNW  .... 700  yds. 

 

TRACKS

None.

 

OBSTRUCTIONS

Navigation

Land rises to about 600' within 1 mile W.

 

Circuit

None. 

 

Approach

Factory chimney 100' distant 400 yds. WNW.

Control tower 60' in NE. corner.

W/T mast, 105' near coast 600 yds. SSE, and 16-storey buildings about 200', 1,000 yds SSE.

Town building close W. and S. of airfield boundaries.

 

WIND INDICATOR

Windsock on hangar in SW. corner and wind 'T' (lit at night) in NE. corner.

   
   

HOMING - VISUAL

By day

None.

By night

None.

 

HOMING--RADIO

D/F

D/F station adjacent SSE.

Beacons

YH, radar beacon 6¼ miles SSW. of airfield.

 

APPROACH - VISUAL

By day

None.

By night

Flare path, obstruction lights along boundaries and illuminated wind 'T'.

 

APPROACH - RADIO

None.

 

COMMUNICATION EQUIPMENT

W/T station adjacent. Has continuous R/T watch on 6460 K/cs.

Naval W/T and R/T on request on 5450 K/cs..

   

GROUND RADAR

None.

   
   

ACCOMMODATION

Military barracks (capacity 500 men) and camp in NE. corner of the airfield.

 

Capacity:

Officers:

20 - 30 accommodated in garrison officer's mess.

Chiefs, P.O.s and ratings:

50 at camp; further accommodation can be made available for visiting squadrons etc.

 

ARMOURIES

None.

 

COMPASS BASE

None.

 

DISPERSAL

None.

 

HANGARS

On NW. and SW. sides of the airfield.

 

Only one hangar (130' x 100') is in use by the R.N. Air Section; space for visiting squadrons can be made available in one of the other hangars by request to the S.A.A.F.

 

Number /Type

Size

Door Height

Door Width

2

150'  x '150

-

-

2

130' x 100'

26'

88'

1

60' x 80'

(approx)

-

-

 

MEDICAL

Full facilities at the airfield.

 

METEOROLOGICAL

Met Station on airfield. Prevailing winds NE. and SW.

 

FUEL AND OIL

Aviation -

1 tank of 12.294 gallons (100 Octane)

6 tanks of 7.055 gallons (87 Octane)

1 tank of 200 gallons (77 Octane)

All tanks above ground level.

Drum storage (68/69 Octane)

 

M/T -

Held in drums.

 

Oil -

D.T.D. A/B/C. M/T S.A.E. 20/30/40 available.

All oil held in 45 gallon drums  with storage capacity for 220 drums.

 

TEST BASE

No radar test base available, facilities available in Naval Base.

 

TEST BUTT

None.

 

WORKSHOPS

Limited facilities.

 

VISITORS

No special parking area.

 

BOMBING AND FIRING RANGES

 

No bombing range available. Air to air, air to sea, and air to ground   firing ranges available.

 

SEAPLANE FACILITIES

 

 

By special arrangement with the S.A.A.F., the following seaplane facilities are available to the Navy  at Salisbury Island, on the S. side of Durban harbour.

 

 

Concrete slipway (140' x 50'), gradient 1 in 12, with 8" of water at its head.

 

Hangar (95' x 135') fronted by a concrete apron connected to the slipway.

 

S.A.A.F. crash boat available, and a windsock on the island.

 

There are no aircraft moorings.

 

There are two small jetties at the base, which is served by a road and single track railway connecting to the mainland and Durban over a causeway.

   


Information taken from CB 4368 B. Admiralty Handbook of Naval Air Stations Aug. 45

 

 

List of first and second line squadrons, station flight and other flying units based at this location

 

710

 

Seaplane squadron

Disembarked from HMS ALBATROSS 29.11.42. Re-embarked 04.03.43.

 Equipped with Swordfish floatplanes.


726

 

Fleet Requirements Unit

Formed here 07.07.43. Disbanded here 03.11.45

Equipped with initially 2 x Kingfisher landplanes, later included Beaufighter, Defiant, Fulmar, Harvard, Martinet, &  Swordfish.


806

 

Fleet Fighter Squadron

Disembarked from H.M.S. ILLUSTRIOUS  21.09.42 Re-embarked 14.10.42.

Equipped with 6 x Fulmar II.


810

Torpedo, Spotter, Reconnaissance Squadron

Disembarked from H.M.S. ILLUSTRIOUS 22 - 28.04.42.

Disembarked from H.M.S. ILLUSTRIOUS 31.09.42 to 13.10.42

Equipped with 9 Swordfish I & II, increased to 15 August 1942.


814

Torpedo, Bomber, Reconnaissance Squadron

Detachment (3) disembarked from H.M.S. HERMES 20 - 29.01.41.

Equipped with Swordfish Is.


817

Torpedo, Bomber, Reconnaissance Squadron

Disembarked from H.M.S. UNICORN 18.11.44. Re-embarked 01.01.45

Equipped with Barracuda IIs.


827

Torpedo, Spottier, Reconnaissance Squadron

Detachment (4) disembarked from H.M.S. INDOMITABLE 13-18.07.42

Equipped with 12 Albacore Is.


829

Torpedo, Spottier, Reconnaissance Squadron

Disembarked from H.M.S. ILLUSTRIOUS 29.09.42. Disbanded here 07.10.42 (absorbed into 810).

Equipped with 12  Swordfish II.


834

Torpedo, Bomber, Reconnaissance Squadron

Disembarked from H.M.S. BATTLER 04-13.02.44

Disembarked from H.M.S. BATTLER 21.03.44. Re-embarked 24.06.44.

Equipped with Swordfish II & Seafire L.IIc.


851

Torpedo, Bomber, Reconnaissance Squadron

Disembarked from H.M.S. SHAH 23.02.45. Re-embarked 05.04.45.

Equipped with 12  Avenger II,


881

Fleet Fighter Squadron

Disembarked from H.M.S. ILLUSTRIOUS 21.09.42. Re-embarked 14.10.42.

Equipped with 9 Martlet II.


896

Single Seat Fighter Squadron

Moved there from RNAS Wingfield 22.04.45 to embark in H.M.S. AMEER at Durban 24-26.04.45.

Equipped with 24 Hellcat FB.II.


 

 

Durban municipal aerodrome was built on part of the flat land between the North Beach and the rising ground of the residential area of Stamford Hill. It was officially opened on December 5th 1936 with an air pageant attended by 30,000 people. The grass field had a maximum landing run of 1,300 yards. The terminal building has the form of swept back aeroplane wings, with a central two-storey control tower, designed in International Style with Art Deco references.

 

The aerodrome was requisitioned by the Department of Defence on September 1st 1940 for the South African Air Force (SAAF). The Natal Military Command headquarters and barracks were established adjacent, south, and station personnel were accommodated there. SAAF units known to have been operational from the field include No.s 6 and 10 squadrons which arrived during April 1942 for local defence duties, equipped with Curtiss Mohawk, later Curtiss Kittyhawk and North American Texan.
 


RN use of the airfield

The Admiralty had negotiated lodger rights for one disembarked squadron when needed, soon after the airfield came under military control; the first recorded use of the lodger rights was on January 20th 1941 when a detachment of 3 Swordfish of 814 squadron flew ashore from H.M.S. HERMES; they re-embarked on the 29th.

 

It was not until April 1942 that a permanent RN presence was established on the station, Sub-Lit. (A) (P) G. C. H. Morgan RNVR, is recorded in the Navy List as being the only Air Branch officer on the books of H.M.S. AFRIKANDER IV, the fledgling RN Base at Durban. At this time it is assumed that the lodger facility was upgraded to accommodate an RN Air Section to provide an aircraft storage element as well as supporting disembarked squadrons.

 

The storage section received its first aircraft in April, Walrus W2756 and Swordfish V4696 arrived from RNAS Wingfield, along with 3 replacement Swordfish for issue to 810 squadron. No. 810 Squadron disembarked from the newly arrived H.M.S. ILLUSTRIOUS on April 22nd,; she had arrived in Durban from Freetown to take part in the upcoming landings at Diego Suarez, Madagascar – operation IRONCLAD. The squadron had 5 serviceable Swordfish and with the three new airframes already waiting for them they had increased their strength to 8 before they re-embarked on the 28th.

 

Another aircraft from ILLUSTRIOUS was to be the first naval casualty at Stamford Hill when, on April 25th a visiting Martlet fighter of 882 squadron, flown by Sub-Lt D. G. Dick, failed to brake sufficiently while landing. It broke through the southern boundary fence and ran into an army mess where it caught fire; the pilot was slightly injured but the aircraft was burnt out. The next visitors did not arrive until July 13th when a detachment of 4 Albacores from 827 squadron disembarked from H.M.S. INDOMITABLE, re-embarking on the 18th.

 

In late September 1942 H.M.S. ILLUSTRIOUS returned to Durban after being released from the final allied operations to capture Madagascar - Operation STREAM; on the 21st her two small fighter squadrons, the 6 Fulmars of 806 squadron, and 9 Martlets of 881 squadron were disembarked. Three days later a hangar fire broke out which destroyed 3 Swordfish and 2 Walrus, while damaging a fourth Swordfish and a Martlet, AJ112 ('B') of 881 Squadron; a small amount of hangar equipment was destroyed and considerable damage done to the hangar itself. Sabotage was ruled out. 829 squadron flew ashore from ILLUSTRIOUS on September 29th witrh their remaining 7 Swordfish to operate from the station; they were joined by 810 squadron on the 31st when ILLUSTRIOUS entered Durban dockyard for a short refit.

 

Accommodating the ILLUSTRIOUS air group meant Stamford Hill was quite crowded, the four naval squadrons on site total around 30 aircraft in addition to those held by the storage section. However the situation was short lived, 829 was disbanded on October 7th their crews and aircraft being absorbed by 810 which re-joined ILLUSTRIOUS on October 13th with 15 aircraft. The following day 806 and 881 departed to re-join ILLUSTRIOUS.

 

On November 11th 1942 the local Naval Base was commissioned as an independent command with the ship’s name H.M.S. KONGONI, the RN personnel at Stamford Hill becoming borne on the books of “KONGONI” from that date.
 


726 Fleet Requirements Unit

A permanent resident squadron formed on July 7th 1943 when No. 726 Fleet Requirements Unit was formed, Lt. Cdr (A) (P) F. G. Hood SANF(V) in command. he was joined by Sub-Lt. (A) (P) A. W. K. Foxon RNVR, together they formed the entire squadron aircrew until a maximum strength of 6 was reached during 1944; initial equipment was two Vought Kingfisher Is for radar calibration duties; by the war’s end the squadron strength had included 5 Kingfisher, 4 Defiant, 8 Martinet, , 1 Beaufighter II, several Fulmars, Swordfish and Walrus aircraft. Squadron tasking included target towing for air to air and ship to air firing, radar calibration and communications flights.

 

The first Kingfisher mishap occurred on September 13th 1943 when Sub-Lt. M.E. Maguire of the Air Section was flying in FN731, the aircraft tailplane struck a wireless mast near the airfield but managed to land safely. 726 received 4 Boulton Paul Defiant Target Tugs at the start of 1944; one of them was lost less than a month later when DR939 ditched on January 23rd after its engine failed, the pilot, Sub-Lt. M. E. Maguire RNVR of the Air Section, was rescued safely.

 

It was February 4th 1944 when the next visiting squadron arrived; the 7 Swordfish & 6 Seafire aircraft of 834 composite squadron disembarked from H.M.S. BATTLER for a short 10 day stay, re-joining the ship on the 13th. Also during February Lieut. (A) (P) D. C. Langley SANF(V) arrived to assume command of 726 squadron.
 


An independent command

The RN Air Section was commissioned as an independent command as H.M.S. KONGONI II on March 31st 1944, its accounts were still held by “KONGONI”

 

Tragedy struck 726 squadron on March 20th 1944 when newly arrived pilot, Sub-Lt. .G. D. Hunter was killed; while conducting exercises with the Durban Gunnery School his aircraft, Kingfisher FN719 went into the sea 2 miles to seaward of the gunnery range of HMS ASSEGAI. The following day the aircraft of 834 squadron arrived back on the station, this time for a three month stay while the ship entered the dockyard for a refit.

 

Lt. D. C. Langley SANF(V) put a second of 726 squadron’s Defiants out of action June 13th when he made a belly landing attempting to land in DR883. The aircraft of 834 squadron re-embarked on June 24th.

 

Later in the summer of 1944 726 began to receive its first of eight Martinet Target Tugs, issued by RNAMY Wingfield. One of these, NR497 flown by Sub-Lt. H.B. Irvine SANF(V), fell foul of the grass surface when landing downwind on August 18th, overshot and hit the boundary fence.

 

The next unit to arrive brought a completely new aircraft type to the station, the Fairey Barracuda, when 12 Barracuda IIs of 817 squadron flew ashore from the maintenance carrier H.M.S. UNICORN on November 18th 1944. Individual aircraft had already called in at the airfield earlier in the month; Barracuda P9836 made an appearance on the 3rd but filed to negotiate the grass airfield when the pilot, Sub-Lt. S I. Craik landed on the starboard wheel first witch resulted in the undercarriage leg collapsing. No. 817 squadron spent Christmas 1944 ashore at Durban before rejoining UNICORN on New Year’s Day 1945 for passage to India.

 

In February 1945 another new aircraft type arrived when the 12 Avenger Torpedo Bombers of 851 were disembarked from the escort carrier H.M.S. SHAH on the 23rd when the ship entered dry-dock in Durban. The squadron re-embarked on April 5th when SHAH sailed for Ceylon.

 

One final squadron was to be received by the RN Air Section later that month; the 24 Hellcat fighter bombers of 896 squadron arrived on the 22nd. They departed from RNAS Wingfield calling overnight at SAAF Port Elizabeth. The airfield at Stamford Hill presented new challenges for the arriving pilots, firstly they were arriving after dark at a grass airstrip with a flare path laid out with goose-neck paraffin flares, and secondly it was necessary to approach in a right hand circuit - the opposite of that at Wingfield. Only 18 aircraft arrived on time. 6 others remained at SAAF Port Elizabeth as their clocks had been stolen; they were further delayed by bad weather and arrived several days later. The squadron’s aircraft were towed through the streets of Durban and hoisted on board the escort carrier H.M.S. AMEER from the quayside on April 24th and 26th.

 

The Air Section continued maintaining a storage section, as well as operating the FRU, until after the war in the Far East had ended; 726 was disbanded here on November 3rd 1945

 

The RN presence at Stamford Hill was finally paid off on January 31st 1946. The airfield remained under SA military control until August 1946 when it was returned to civil authorities.

 


 

 

Click here for a list of Primary sources


Additional sources:

 

Confidential Admiralty Fleet Orders:

CAFO 2451/44

 

 

Last modified 12 June 2020

 

 

 

 

No badge issued for KONGONI

 

 

Images under restoration

 

 

 

View from the cockpit of an 834 squadron Swordfish flying over the residential area of Stamford Hill and Durban’s North Beach. The aerodrome is visible near the top of the photograph.

 

A Seafire L.IIc and Swordfish II of 834 squadron in formation over the coast near Durban.

 

Aerial view looking south, the Durban Country Club is in the left foreground, the airport terminal building is behind this on the other side of the road, and Natal Military Command and barracks is at the far end of the airfield. The central landing area circle is visible centre right.

 

Scrubbing out Kings Park Camp Durban

 

NCO Mess Kings Park Durban 1944

 

 

 

 © 2013 Tony Drury www.royalnavyresearcharchive.org.uk

Add Comment

* Required information
1000
Type the numbers for four hundred seventy-two.
Captcha Image
Powered by Commentics

Comments (0)

No comments yet. Be the first!