Latitude 51°06'37"N Longitude 01°19'08"W

   

ACQUISITION

Transferred from Air ministry to Admiralty control May 1939.

 

 

COMMISSIONED

24 May 1939 as KESTREL
01 April 1948 as CICERO reverted to KESTREL 19 April
01 July 1952 as ARIEL (main site) & ARIEL II (South camp)
 

PAID OFF

31 March 1948 reduced to Care & maintenance 
09 January 1950 reduced to Care & maintenance 
01 November 1960 as ARIEL

CLOSED

Airfield closed to flying 31 March 1948
   

COMMANDING OFFICER

KESTREL
Captain R. St. A. Malleson AFC
Captain  J. P. Cornall
Captain  R.de. H. Burton
Captain E. A. Gibbs DSC +++
Captain H. G. Cooke
Captain D. G. Trenham
Lt. Commander H. G. Holman

ARIEL
Captain (L) K. R. Buckley
Captain (L) L. S. Bennett
Captain (L) S. E. Post OBE
Captain (L) J. D. M. Robinson CBE
 

   

FUNCTION

KESTREL
Telegraphist Air Gunner's School (Until 1943)
School of Aircraft Maintenance (from 1944)
Formation, training and administration of Special Maintenance Parties (S.M.P.) (from 1944)
Engine Handling Unit (from 1944)
Maintenance Test Pilots School (from 1944)
Reserve Aircraft Storage
Parent to RNAS Bush Barn
Parent to RNAS Jersey

CICERO/KESTREL
Regulating School
Rehabilitation Centre

ARIEL
R.N. Air Electrical School
 

ADDRESS

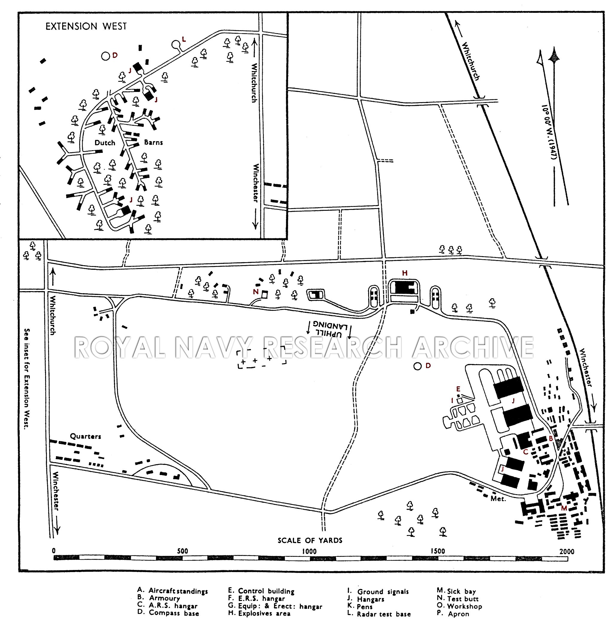
R.N. Air Station,
Worthy Down,
Winchester,
Hampshire.
 

LOCALITY

The airfield lies 2½ miles N. of Winchester on the E. slopes of Worthy Down. Andover lies 8 miles NW. and Whitchurch 6¾ miles N. Southampton lies 12 miles S. by W.
 

LANDMARKS

Southampton Water and the City of Southampton. The town of Winchester, on the River Itchen. The Whitchurch-Winchester road traversing the airfield from N. to S. at its W. end, and the W.R. Whitchurch-Winchester branch line forming the airfield's E. boundary.
 

ROAD AND RAIL ACCESS

Direct communication with Winchester 4 miles (R), by road and rail. Worthy Down platform (W.R.) on the airfield's E. boundary for stores and personnel. Southern Region station at Winchester for personnel, on line from Waterloo to Eastleigh.
   

 

   

CONTROL

Control building on the E. side of the landing area in front of hangar apron.

 

ELEVATION

345 ft. above M.S.L.

 

RUNWAYS /LANDING AREA

Rectangular, irregular grass surface. There is a rough patch close NW. of the centre of the landing area marked with crosses and corner marks. The airfield is hog-backed, sloping most steeply down to N.; the gradients all over demand extreme caution in landing.

 

N/S 770 yds. E/W 1,400 yds.

Landings in directions 07/25, 10/28 and 13/31.

 

TRACKS

None.

 

OBSTRUCTIONS

Navigation

None.

Circuit

None.

Approach

None.

 

Ploughed terrain on N. and S. sides of airfield. Strips are 50' away from all runways at their nearest points.
 

APPROACH

Recommended sector, mean QDM. 000°-020°.

 

WIND INDICATOR

 
   
   

HOMING - VISUAL

By day:

None.

By night: Not known.
 

HOMING--RADIO

D/F:

M/F, H/F and VH/F.

Beacon:  
 

APPROACH - VISUAL

By day:  

None.

By night:
 

APPROACH - RADIO

Not known.
 

COMMUNICATION EQUIPMENT

 M/F and H/F

? transmitters, ? receivers

VH/F  ? transmitters, ? receivers.
 
CALL SIGNS  R/T .. WORTIIYDOWN
W/T .. GZI
Identity Letters .. WD
 

GROUND RADAR

None.

 

   

ACCOMMODATION

Living quarters on the SE. side of the airfield, W.R.N.S. quarters in SW. corner.

 

Capacity: Wartime Post-War

Officers:

148

110

Chiefs, P.O.s and ratings:

1.740

1,198

W.R.N.S. Officers:

4

5

W.R.N.S.  Chiefs, P.O.s and ratings;

352

115

 

ARMOURIES

 

 

COMPASS BASE

Two, diameter 75'. One in the dispersal site and one NW of control building.

 

DISPERSAL

In Dutch barns to W.

 

HANGARS

Large hangars on E. side of airfield. Small hangars and Dutch barns to W. of airfield beyond the main road.

 

Number /Type

Size

Door Height

Door Width

2 hangars each in 3 units of .. 170' x 100' 25' 100'
2 Bellman 187' x 105' 25' 105'
1 A.R.S. 170' x 110'

(approx.)

Storage section

2 Bessonneau Canvas

138' x 64' 10''

13' 2''

64' 10''

1 Fromson

70' x 60'

20'

55'

48 Dutch barns

20' x 40'

17'

--

 

MEDICAL

Sick bay in SE. corner of airfield.

 

METEOROLOGICAL

 

 

FUEL AND OIL

Aviation:

Not known.

M/T:

Not known.

Oil :

Not known.

   

TEST BASE

 

 

TEST BUTT

 

 

WORKSHOPS

Workshops to 4-6 squadron scale.

 

VISITORS

Visitors' parking area on grass by Control Building.

 

EXPLOSIVES

Explosive area NW of technical area outside of perimeter track

 

BOMBING AND FIRING RANGES

None.
   
   

Information taken from BR.1807 Admiralty Handbook of Naval Air Stations, Dec. 48.

 

List of first and second line squadrons, station flight and other flying units based at this location

 

700

Maintenance Test Pilots training Squadron
Moved here from RNAS Donibristle 7.11.44 Moved to RNAS Middle Wallop 23.11.45
Equipped with Avenger, Barracuda, Firebrand, Firefly, Hellcat, Seafire, & Wildcat

 

734

Engine Handling Unit.

Formed here 14.02.44  Moved to RNAS Hinstock 21.08.45

Equipped with Whitley GR.VIIs

 

739

Blind Approach Development Unit
Moved here from RNAS Lee-on-Solent 14.09.43 Moved to RNAS Donibristle 5.10.44
Equipped with Anson, Fulmar, Oxford, & Swordfish.

 

755

Telegraphist Air Gunner Training Squadron
Formed here 24.05.39 moved to RNAS Jersey11.03.40
Moved here from RNAS Jersey 31.05.40 Disbanded here  31.10.44
Equipped with Lysander TT.III, Proctor I & II, Osprey, Seamew, and Shark

 

756

Telegraphist Air Gunner Training Squadron

Formed here 6.03.41 Disbanded here 1.12.42
Equipped with Proctor I & 11

 

757

Telegraphist Air Gunner Training Squadron
Formed here 24.05.39 Disbanded here 15.08.38

Equipped with Osprey & Shark II .

Formed here 6.03.41 Disbanded here 1.12.42
Equipped with Lysander III, Nimrod II,  & Skua II.

 

763

Torpedo Spotter Reconnaissance Pool No.1
Formed here 15.12.39 Moved to RNAS Jersey 11.03.40

Moved here from RNAS Lee-on-Solent 4.07.40 Disbanded here 8.07.40

Initially equipped with 6 Swordfish I.

 

774

Armament Training Squadron
Formed here 10.11.39 Moved to RAF Aldergrove 16.11.39
Equipped with 3 Roc,  4 Shark II.TT, 3 Skua, and 3 Swordfish

 

800

Fleet Fighter Squadron
Disembarked from HMS COURAGEOUS 7.07.38. Embarked in HMS Ark Royal 11.01.39

Equipped with Nimrods and Osprey, re-equipped with Skua Oct 38.

Disembarked from HMS Ark Royal 24.03.39. Re-embarked 3.04.39

Disembarked from HMS Ark Royal 27.09.39. Re-embarked 2.10.39
Equipped with Skua II.

 

803

Fleet Fighter Squadron
Formed here 21.11.38 Moved to RAF Sutton Bridge 5.02.39
Moved here from RAF Exeter  23.03.39 Embarked in HMS ARK ROYAL 3.04.39

Disembarked from HMS ARK ROYAL 18.04.39 Re-embarked 30.04.39
Equipped with 6 Osprey and 3 Nimrod

 

806

Fleet Fighter Squadron
Formed here 1.02.40 moved to RNAS Hatston 28.03.40

Moved here from RNAS Hatston 26-05.40 Embarked in HMS ILLUSTRIOUS 11.06.40
 Equipped with 8 Skua & 4 Roc, began re-equipping with Fulmar Is here June 1940.

 

807

Fleet Fighter Squadron
Formed here 15.09.40 Moved to RNAS St. Merryn 18.11.40
Equipped with 9 Fulmar I

 

808

Fleet Fighter Squadron
Formed here 1.07.40 Moved to RAF Castletown 5.09.40
Equipped with 12 Fulmar I

 

814

Torpedo Spotter Reconnaissance Squadron
Moved here from RAF Warmwell 29.06.39  Embarked in HMS ARK ROYAL 299.07.39
Disembarked from HMS HERMES 9.01.40 Moved to Roborough 25.01.40
Equipped with 6 Swordfish I

 

815

Torpedo Spotter Reconnaissance Squadron
Formed here 9.10.39 Disbanded 10.11.39

Formed here 23.11.39 Moved to RAF Cardiff 5.02.40
Equipped with 12 Swordfish I

 

825

Torpedo Spotter Reconnaissance Squadron
Moved here from RAF Prestwick 4.05.40 Moved to RAF Detling 18.05.40

Returned from RAF Detling 28.05.40 Moved to RAF Thorney Island 16.06.40

Moved here from RAF Carew Cheriton 27.06.40 moved to RAF Detling  01.07.40

Returned 05.07.40 Moved to RAF Prestwick 11.07.40

Equipped with 12 Swordfish I

 

837

Torpedo Spotter Reconnaissance Squadron
Personnel assembled at RNAS Eastleigh & RNAS Worthy Down 15.03.42 prior to taking passage to RNAS Palisadoes, Jamaica where the squadron formed on 01.05.42.

838

Torpedo Bomber & Reconnaissance squadron

In transit from RAF Station Harrowbeer to RAF Long Kesh 8.08.45

 

848

Amphibious Warfare Trials Unit

Moved here from RNAS Hal Far 9.11.59 Embarked in HMS BULWARK 10.03.60

Original equipment Whirlwind HAS.22, re-equipped with Whirlwind HAS.7 starting 11.59

 

 

 


Early history

In August 1917 the old Winchester racecourse on Worthy Down was acquired for use by the Royal Flying Corps (RFC). A roughly rectangular aerodrome of 480 acres was established with a maximum landing run of 4,800 ft (1,463 m). The grassland on which it was laid out was on a marked gradient, aircraft approaching from the North making landings uphill.

The first unit to arrive on the new station was the flying elements of the Wireless & Observers School in January 1918, the unit had moved from its base at Brooklands as the airfield was increasingly being taken over by aircraft manufacturers, the main School was installed at Hursley Park, Winchester. At this time the station construction was incomplete and work was badly behind schedule: The main technical area consisted of six large aeroplane sheds, built in two blocks of three, and an Aeroplane Repair and Salvage hangar, close to the railway line which formed the eastern boundary of the aerodrome. Accommodation huts and administrative buildings were almost complete but only about half the hangars were usable. On April 1st 1918 The RFC became the Royal Air Force.

The entire Wireless & Observers School arrived on the station in August 1918 and was redesignated the Army Co-Operation School the following month. By the time of the Armistice the school operated up to 20 Armstrong Whitworth F.K.8, 12 Bristol F 2Bs and 50 Royal Aircraft Factory R.E.8s, with up to 1,450 personnel on the station.

At the end of 1919 the aircraft necessary for the flying phases of training for students at the No 1 (T) Wireless School, based at nearby RAF Flowerdown, began operating from Worthy Down. The Army Co-Operation School was renamed the RAF/Army Co¬operation School but was scaled back in size and continued to operate from the station until December 1920 when it moved to RAF Old Sarum. With their departure WOrhty Down was operating solely as an airfield in support of the flying needs of RAF Flowerdown; In March 1921 No 1 (T) WS became the Electrical & Wireless School (E&WS).

On April 1st 1924 No 58 Squadron was reformed at Worthy Down as a heavy bomber unit equipped with the Vickers Vimy for training duties; they had re-equipped with Vickers Virginia bombers by the end of the year. Three years later they were joined by a second Vickers Virginia bomber squadron, No. 7 Squadron moved down from Bircham Newton on April 7th 1927.

In 1928 work started on an eighteen month building program me which included the construction of permanent barrack blocks; a new church, dedicated by the Bishop of Winchester on January 19th 1930, was one of the last items to be completed. Work was undertaken during the summer of 1932 too attempt to drain and level the airfield surface, both squadrons moving out to RAF Catfoss for four weeks, the same procedure was repeated the following year with a little more success.

No. 7 Squadron started re-arming with the Handley Page Heyford from April 1935, and another new aircraft type appeared on the station in August when No. 2 Squadron arrived with their Hawker Audax biplanes for a month's Army co-operation exercises, their personnel being under canvas and the aircraft dispersed around the aerodrome. Two other Audax equipped Squadrons, Nos 4 and 13, also visited for exercises.

On October 1st 1935 two new bomber squadrons were formed by renumbering flights from the two resident squadrons; B Flight of No. 7 Squadron became No. 102 Squad¬ron, while A Flight of No. 58 Squadron became No. 215. Both initially flew Virginia Xs. In January 1936 Nos 58 and 215 Squadrons relocated to RAF Upper Heyford.

 


Bomber Command station

In 1936 as a part of the process of rearming and increasing the size of the RAF, the existing Command system was overhauled and four new functional Commands were formed: Fighter, Bomber, Coastal, and Training Commands. In 1937 the issue of the control of naval flying was reviewed once more and the ‘Inskip Award’ of July 21st 1937 transferred the Fleet Air Arm, back to the control of the Admiralty with effect from May 24th 1939.

On July 14 1936 Bomber Command was formed and a reorganization. of squadron allocations was undertaken. In August the Hawke Hinds of No. 49 Squadron arrived from RAF Bircham Newton and Nos 7 and 102 Squadrons left for RAF Finningley at the end of the month. On the 28th the personnel of Nos 35 and 207 Squadrons arrived; they had returned from operations in the Sudan at the end of the Abyssinian crisis. They were sent on leave while their Fairey Gordon light bombers were reassembled and test flown having been offloaded at RAF Sealand in crates.

In September the station was transferred to No. 2 Group, and the squadrons started the familiar round of exercises and armament training. In August 1937 Nos 35 and 207 Squadrons began to re-equip with the Vickers Wellesley medium bomber, by mid-September each had 12 new machines on strength. This change of equipment required some big adjustments in their conversion training; the Wellesley had retractable undercarriages, pneumatic brakes and variable pitch propellers and a very large wingspan which made taxying tricky. No 49 Squadron moved to RAF Scampton in mid-March 1938 and Nos 35 and 207 Squadrons departed for RAF Cottesmore on April 20th.;


Transferred to Coastal Command & Fleet Air Arm use of the airfield

On April 15th 1938 RAAF Worthy Down transferred to Coastal Command under control of No 17 (T) Group. Detachments of Anson of Nos and 233 Squadrons arrived on attachment early in July for exercises with the target ship HMS CENTURION, followed by No 220 Squadron later in the month. Although in use by RAF training squadrons the station had been earmarked as a Fleet Air Arm (FAA) shore base.

The first naval squadron to arrive was 800 squadron which disembarked its Nimrods and Ospreys from HMS COURAGEOUS on July 7th; they began re-equipping with the Blackburn Skua from November. On November 21st 803 squadron began forming at Worthy Down equipped with the Blackburn Skua. After working up with their new aircraft 800 squadron embarked in HMS ARK ROYAL on January 11th 1939, 803 squadron, now with 9 Skuas on strength departed for RAF Sutton Bridge on February 5th. A small stock of RAF & FAA aircraft were now held on the station in store, these included 14 Gladiators, 3 Saro Clouds, 2 Skuas, 5 Sharks and 4 Nimrods. 800 squadron arrived back on the station on March 24th 1939, flying ashore from ARK ROYAL, they remained her until re-joining the ship on April 3rd. The next day a permanent FAA unit moved in when the Fleet Air Arm Pool arrived from RAF Gosport.


Commissioned as an RN Air Station

On May 24th 1939 four airfields in the UK, Donibristle, Lee-on-Solent, Ford, and Worthy Down came under Admiralty control; Royal Naval Air Station Worthy Down was commissioned with the ship’s name HMS KESTREL under the command of Commander R. St.A. Malleson, AFC, RN. On the same day No. 757 Squadron was formed, the first unit for the new No. 1 Telegraphist Air Gunners School utilising many of the Nimrod, Osprey, Shark and Skua aircraft held in storage on the station. A second squadron, 814 Torpedo Spotter Reconnaissance (TSR) Squadron, arrived on June 29th from RAF Warmwell.; one month later their 6 Swordfish embarked in ARK ROYAL on July 29th.

At the outbreak of the Second World War on September 3rd 1939 the station was home to the Telegraphist Air Gunners School and the FAA Pool. Two weeks later the Fleet Carrier HMS COURAGEOUS was sunk by U-29; the survivors from her squadrons, 811 and 822 arrived on the station a few days later. On October 9th the survivors formed 815 TSR squadron and began working up with their Swordfish aircraft, however they were to disband only one month later on November 10th, only to be reformed on the 23rd. Torpedo Spotter Reconnaissance Pool No. 1, 763 squadron was formed here on December 15th equipped with 6 Swordfish, with these it was to keep newly qualified personnel in flying practice while training complete crews, and maintaining a small number of fully operational aircraft for allocation to front-line squadrons.

In the New Year 806 squadron formed as a Fleet Fighter Squadron on February 1st 1940, receiving 8 Skua & 4 Rocs. After working up 815 squadron moved to RAF Cardiff, departing on February 5th while 763 TSR Pool departed for Jersey airport on March 11th. On completion of their initial work-up 806 squadron also departed, leaving for RNAS Hatston on March 26th leaving only the TAG School and Poll on the station. At the start of May the 12 Swordfish of 825 TSR squadron arrived from RAF Prestwick on the 4th; they departed for RAF Detling for operations with RAF Coastal Command No. 16 Group on the 18th only to return on the 28th. No. 806 squadron arrived back on the station from RNAS Hatston on May 26th to provide cover for the Dunkirk evacuation; a detachment of 9 aircraft operated out of RAF Detling from the 27th when the evacuation began until the May 31st. At the start of June the squadron received the first three Fairey Fulmars to enter front-line service; with these they embark in the Felt Carrier ILLUSTRIOUS on June 11th. 825 squadron left for further operations with No. 16 Group on June 16th, this time moving to RAF Thorney Island, from there they went to t RAF Carew Cheriton (No. 15 Group, Coastal Command Coastal Command) returning to Worthy Down on June 27th.The squadron moved to RAF Detling again for one final spell with No. 16 Group on July 1st, returning on the 5th; the squadron departed for RAF Prestwick on the 11th.

At the start of July No. 808 Fighter Squadron was formed with 12 Fulmar Is. On the 4th No. 763 TSR Pool squadron arrived back on the station having moved from RNAS Lee-on-Solent; now equipped with Albacore and Swordfish it was disbanded here on the 8th. In August Hitler ordered the bombing of inland targets along the South coast and the Luftwaffe focused on Fighter Command airfields in southern England, however faulty intelligence caused to attack Coastal Command, Bomber Command and Fleet Air Arm bases instead. On August 15th1940, Worthy Down found itself a target; at 17:30 hours a large Luftwaffe force of Junkers Ju88A-1s of I/LG1 and II/LG1 from Orleans-Bricy part of a large force escorted by Messerschmitt Bf 110s of I./ZG 2 crossed the south coast. They were harassed by RAF Hurricanes and Spitfires from 43, 249, 601 and 609 Squadrons over Southampton and the Solent but the majority of the raiders eventually got through. In the early evening the airfield the Bombers arrived over the airfield but such a hard fought incursion caused little in the way of damage, no buildings were hit and eyewitness account eyewitness accounts give the damage as mainly broken windows and lights. The Luftwaffe lost five Ju88s to 601 Squadron and station defences including a Lewis gun party on a hangar, Maxim gun crews, and even a gun turret from a Blackburn Roc claimed hits on several Bombers.

No. 808 squadron departed for RAF Castletown on September 5th to continue training, their place was taken but 807 squadron which was formed here ten days later on the 15th within itial issue of 9 Fulmars. They moved to RNAS St. Merryn on November 18th. In December 1940 two new Bellman hangars became available at Worthy Down and Spitfire development flying was moved there as part of an urgent dispersal of Spitfire production after heavy bombing of Supermarines' Southampton factories on September 26th.

The stations Storage Section was a busy place, from holding around 30 aircraft at the start of 1939 it grew to become a receipt and dispatch unit receiving large numbers of new aircraft direct from the manufacturers for onward dispatch to other Storage Sections and forming squadrons. A good example of this is the Fairey Albacore, 113 of these aircraft passed through the unit in the summer of 1940, and 57 Fairey Fulmars starting in August 1940 and completed in July 1941. Expansion works at Worthy Down had been underway since the autumn of 1940 and a by February 1941 a large dispersed storage facility had been constructed across the A34 road to the west of the airfield. The site was accessed by a single taxiway leading into a wooded area where 48 Dutch barns, two Bessoneaux and a Fromson Blister hangar had been erected amongst the trees. Each Dutch barn could hold a single aircraft with its wings folded. Prior to this new storage area large numbers of aircraft were disperse around the airfield perimeter, and larger types such as the Barracuda, and those without folding wings such as the Seafire Mk.IIb and the Miles Master, still had to be stored outside. The largest aircraft known to have been held in the Storage Section is Handley Page Harrow K6966 in the autumn of 1941. In addition a decoy airfield had been laid out at Micheldever, 3 miles to the north-east.

The training of Telegraphist Air Gunners continued throughout 1942 until a new facility was ready at Yarmouth, Nova Scotia, Canada, No. 2 Telegraphist Air Gunners School opened on January 1st 1943. Both 756 and 757 squadrons disbanded at Worthy Down on December 1st 1942. No. 755 squadron new constituted the whole of No. 1 Telegraphist Air Gunners School absorbing the Proctors of 756 Sqn and the Lysanders of 757 Sqn.

The next unit to arrive on the station was No. 739 squadron, the Blind Approach Development Unit which moved here from RNAS Lee-on-Solent on September 14th 1943 equipped with one each Anson, Fulmar, Oxford, & Swordfish to evaluate both ground and airborne equipment. In October 1943 a large number of Curtiss Seamews were issued to 755 Sqn replacing most its Lysanders which were withdrawn and returned to the RAF.

No. 734 Engine Handling Unit was formed here on February 14th 1944; this unit was issued with Armstrong Whitworth Whitley GR VIIs these had been specially converted into flying classrooms by SS Cars to teach correct engine handling to TBR aircrew converting from elderly biplanes to Merlin-powered Barracudas. Initially issued with one standard Whitley GR VII for familiarization followed by the first two converted machines in May. Supermarine development flying was transferred from Worthy Down to RAF High Post in March 1944, leaving the station to 734, 739, and 755 squadrons.

During the first four months of 1944 fifty-two Curtiss Seamew were received by the Storage Section having been shipped from Canada; the storage inventory was now quite large, 114 Barracudas having arrived during 1943/44, seventeen Miles Masters and at least 10 Boilton Paul Defiant Tart tugs taken on charge in September/October 1944. To relieve some of the pressure on the airfield the storage of obsolete aircraft was moved off site in mid-1944 when the satellite landing ground at Bush barn, some 70 miles north from Worthy Down, was transferred from Ministry of Aircraft Production on loan on July 15th.

From September 1944 the tasking of RNAS Worthy Down changed to training; the School of Aircraft Maintenance (SAM) moved here from RNAS Lee-on-Solent; with this move came responsibility for the formation, training and administration of Special Maintenance Parties (S.M.P.), small parties of specially trained FAA personnel for additional servicing of specific aircraft types. The following month two resident squadrons left the station; 739 Blind Approach Development Unit moved to RNAS Donibristle on the 5th while 755 TAG training squadron was disbanded on the 31st. in November another squadron moved in to begin operations No. 700 Maintenance Test Pilots training Squadron arrived from RNAS Donibristle on the 7th operating a mix of Avenger, Barracuda, Firebrand, Firefly, Hellcat, Seafire, & Wildcat.

The training task continued through to August 1945 by which time activity on the station had slowly ran down. The first of the remaining resident units to leave was 734 Engine Handling Unit, it departed for RNAS Hinstock on August 21st where it was planned to re-equip with Avro Lancasters. No. 700 Maintenance Test Pilots training Squadron moved to RNAS Middle Wallop on November 23rd and naval flying ceased; the only unit to make use of the airfield ease the Southampton University Air Squadron which kept two Tiger Moths on the site, they moved to RNAS Eastleigh in October 1946.
 


Recommissioned as a General Serve establishment

The day after the airfield was placed on C & M status the main camp recommissioned as HMS CICERO, to accommodate the Royal Navy Regulating School and RN orthopaedic rehabilitation canter; however the name reverted to KESTREL on April 19th, the establishments accounts being held by HMS PEMBROKE II. The Regulating School did not remain here long, it moved to HMS EXCELLENT within a year. it is not clear when the orthopaedic rehabilitation canter was closed, or relocated, but the station returned to C & M statue on January 9th 1950.

 


RN Air Electrical Training Establishment

The station was reactivated for FAA use in mid-1952 as the new home of the RN Air Electrical School which had relocated from Culcheth, Warrington. On July 1st 1952 the main technical site was commissioned as HMS ARIEL and the South camp as ARIEL II.

Although no flying was undertaken at least 14 Instructional airframes are recorded as being on site over the seven years it was home to the AES including 11 propeller driven types - 5 Fireflies, marks 5 & 7; 1 Seafire F.17, 1 Sea Fury F.10, 1 Wyvern TF.2, 1 Avenger AS.4, 1 Sea Hornet F.20, 1 Gannet prototype., and 3 Jet aircraft – 2 Vampire F.1, and 1 Sea Hawk F.1.

On October 31st 1959 the Air Electrical School transferred to RNAS Lee-on-Solent, commissioning as ARIEL; both sites at Worthy Down combined as ARIEL II, this remained open until paying off on December 1st 1960. The airfield appears to have been reopened for rotary wing aircraft at the end of 1959, No. 848 Amphibious Warfare Trials Unit, equipped with Whirlwind HAS.22s arrived from RNAS Hal Far, Malta on November 9th. While here they re-equipped with Whirlwind HAS.7s before joining HMS BULWARK on March 10th 1960.

The site was handed over to the Royal Army Pay Corps on 1 December 1960.


 

 

 

Click here for a list of Primary sources


Additional sources:

Royal Navy Instructional Airframes, Produced by the British Aviation Research Group (April 1978)

 

Admiralty Fleet Orders:

A.F.O. 5004/44 —Special Maintenance Parties—REPORT

 

 

 

 


 

 

 

 

 


Aerial view of the airfield showing the moved landing strips and technical site.

 

C. late 1939, 'Kestrel' cap tallies are still worn. Trainee Telegraphist Air Gunners receive instruction on the Lewis gun, the only defensive armament on the early Torpedo Spotter Reconnaissance aircraft .


Lysander IIIs of 757 squadron. The officer on the right is Lt. Laurence Olivier RNVR, stage and film actor, later Lord Olivier, Baron Olivier of Brighton.

Blackburn Skua, possibly belonging to 8065 squadron.

 

 

 

Add Comment

* Required information
1000
Enter the last letter of the word satellite.
Captcha Image
Powered by Commentics

Comments (0)

No comments yet. Be the first!